Overview
- Land
- 0.63 Acre
- 24227
Details
Updated on October 19, 2025 at 9:34 am-
Property ID LP24227
-
Price $18823
-
Land Area 0.63 Acre
-
Property Type Land
-
Property Status For Sale
Additional details
-
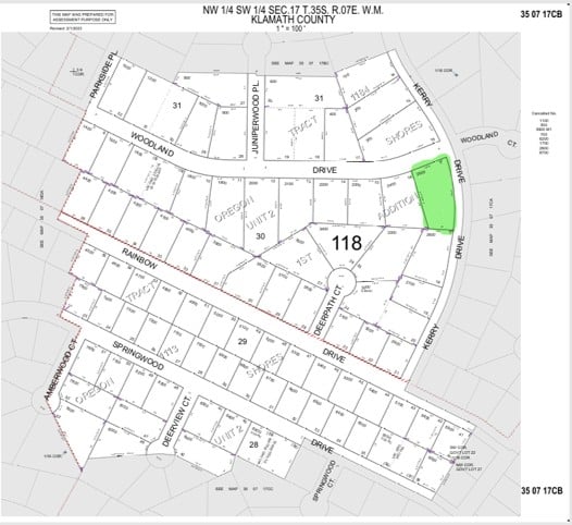
Address Kerry Drive, Chiloquin, OR
-
Utilities Community well available, power at the road
-
Access Public gravel road, maintained by the road association
-
Parcel ID R237693
Description
0.63 Acres – Buildable Land with Community Water & Power – Near the Lake and multiple rivers.
Looking for buildable land with community water access and power at the road? This 0.63-acre lot on Kerry Drive, Chiloquin, Oregon, is ready for development with R-2 zoning, offering multiple possibilities for residential or investment use. Located in Klamath County, this property provides public road access via a well-maintained gravel road and is positioned for easy access to outdoor recreation, local amenities, and nearby cities.
📝 Property Details:
APN: R237693
Address: Kerry Drive, Chiloquin, OR
Size: 0.63 acres
Zoning: R-2 – Buildable, Residential Use
Utilities:
Water: Community well available
Power: At the road
Sewer: Septic required
Access: Public gravel road, maintained by the road association
Topography: Gently slopes toward the rear of the property
🔹 Why This Land?
This prime lot in Chiloquin offers easy access to fishing, boating, and outdoor recreation, all while maintaining convenient proximity to Klamath Falls.
✅ Build Now or Hold for Investment – R-2 zoning allows for residential construction, a vacation rental, or a retirement home in a growing area with rising land values.
✅ Access & Utilities Ready – With a community water system and power nearby, this lot is primed for development.
✅ Convenient Location – Just 30 minutes from Klamath Falls, offering shopping, dining, healthcare, and schools, while keeping you near the outdoor lifestyle.
✅ Recreation at Your Doorstep – Close to Sprague River, Williamson River, and Upper Klamath Lake, with hunting, fishing, and ATV trails nearby.
📍 Area Highlights
🔹 GPS Coordinates: 42.535869, -121.911838
Chiloquin is known for its proximity to Oregon’s best outdoor attractions while remaining a quiet, small-town hub. Within a short drive, you’ll find:
Crater Lake National Park – Just an hour away, offering hiking, scenic drives, and snow sports.
Sprague River & Williamson River – Excellent for fly fishing, boating, and kayaking.
Upper Klamath Lake & Agency Lake – Ideal for birdwatching, sailing, and fishing for native Redband trout.
Fremont-Winema National Forest – Offering hiking, hunting, and off-road trails.
Klamath Falls – The region’s main hub for amenities, including major retailers, hospitals, and local dining.
This region is a prime area for real estate growth, with increasing demand for short-term rentals, second homes, and full-time residences.
🏡 Potential Uses
Primary Residence – Build your home and enjoy utilities-ready land in a growing area.
Short-Term Rental – Tap into the vacation rental market with nearby rivers, lakes, and Crater Lake National Park.
Retirement Home – Affordable land in a peaceful setting, yet close to essential services in Klamath Falls.
📌 Practical Details
Electricity: Power available at the road
Water: Community well access
Sewer: Requires septic installation
Road Access: Publicly maintained gravel road
Topography: Gently sloping, easy to develop
🚀 Take the Next Step
Secure this affordable, buildable lot before it’s gone! Contact us today for pricing, additional property details, or to schedule a visit.
Address
Open on Google Maps-
Address: Kerry Drive, Chiloquin, Oregon, USA
-
City: Chiloquin
-
State: Oregon
-
Zip/Postal Code: 97624
Features
Video
Contact Information
View ListingsSimilar Listings
Oregon Forest Haven: 2.35 Acres for $275/mo – Simple Terms, Low Taxes
Klamath Forest Estates, Klamath, Oregon2.57 Acres lot for sale on Polar Bear Lane, North of Bonanza, Oregon
Polar Bear Lane, Bonanza, Oregon, USA, Bonanza, Oregon1.91 Acres of Buildable Residential Land for sale in Bonanza, Oregon
Widgeon Drive, Bonanza, Oregon, USA, Bonanza, Oregon2.48 Acres Build Land for sale in Bonanza, Klamath County, Oregon
Whitetail Lane, Bonanza, Klamath County, Oregon, USA, Bonanza, Oregon
- Derek Hotchkiss






